手机版

百科生活 投稿

农村野花名称大全,农村常见的50种野花野草(农村哪些野花让你觉得很美)

百科 2026-02-10 00:17:44 投稿 阅读:6816次

关于【农村野花名称大全】,农村常见的50种野花野草,今天小编给您分享一下,如果对您有所帮助别忘了关注本站哦。

  • 内容导航:
  • 1、农村野花名称大全:农村哪些野花让你觉得很美?
  • 2、农村野花名称大全,农村常见的50种野花野草

1、农村野花名称大全:农村哪些野花让你觉得很美?

提要:这些农村常见的花草,样子也十分美!

农村的野外有很多叫不出名字的野花野草,这就是在大自然对人们的馈赠。每天面对这些美丽的野花野草,心情也会变得舒畅愉悦,难怪现在有这么多的城市人都喜欢到农村来生活。在农村里面不仅能呼吸新鲜的空气,还有美丽的风景,能够让人减轻压力,感受平静。

我也是从小在农村长大的,在心情不好的时候,就在野外坐坐,看看姹紫嫣红的花朵,听听风声鸟叫,整个人都会变得轻松愉悦。今天,我就给大家分享一些我认为是农村比较漂亮的野花:

农村野花名称大全,农村常见的50种野花野草(农村哪些野花让你觉得很美)

指甲花

指甲花的名字其实是凤仙花,因为在农村人们经常用指甲花的花、叶来染指甲因而得名。指甲花的花形似蝴蝶,花的颜色非常的多,有粉红、大红、紫色、粉紫等,有一些品种甚至可以在一株上开出数种颜色的花瓣。将指甲花的花瓣或者是叶子捣碎之后,在用树叶包在指甲上,过几天指甲上就能染上十分鲜艳的颜色,深受女孩子的喜爱。

太阳花

太阳花又被叫做松叶牡丹、半支莲等,喜欢温暖、阳光充足的环境。太阳花见阳光开放,在没有阳光时闭合,因而得名。太阳花的品种是比较多的,花色也繁多。太阳花比较容易成活,繁殖能力也强,经常可以在农村的路边看到盛开的一丛丛一簇簇的颜色各异的太阳花,煞是好看。

兰花草

兰花草又被称之为竹叶草、鸭跖草。听到兰花草这个名字,自然而然就会想到儿时的那首儿歌“我从山中来,带着兰花草...”,它主要生长在山坡荫蔽并且湿润的草地、疏林下或是林缘草地。兰花草的花朵是小小的,如果你仔细观察的话会发现整个花朵像是一个小小的蝴蝶,常见的花色是蓝色的,也有白色的。成片开起来的兰花草非常的漂亮,像是绿草丛中翩翩起舞的蓝色蝴蝶。

农村野花名称大全,农村常见的50种野花野草(农村哪些野花让你觉得很美)

白头翁

白头翁常见于山岗、荒坡以及田野间,一般有白色、紫色、蓝色三种颜色,整个植株都有一层绒毛,十分的奇特。每当春季花开的时期,大量的白头翁齐齐开放,是一道不可多得的美景。

牵牛花

牵牛花在有些地方又被叫做喇叭花,因为其外形酷似喇叭。牵牛花是农村比较常见的花朵,花色十分的繁多,如蓝、绯红、桃红、紫等,当然还有混色的。夏季是牵牛花盛放的时期,当牵牛花爬满整面墙的时候是十分的壮观的。

农村野花名称大全,农村常见的50种野花野草(农村哪些野花让你觉得很美)

马兰菊

小时候经常在上学的路边看见马兰菊,小姑娘们将马兰菊摘来编成花环戴在头上感觉自己美美的。马兰菊的美是很低调的,花色清新淡雅,花姿也简单舒爽,当马兰菊开放时,让人感觉清新怡人,百看不厌。

以上只是罗列出一小部分我认为比较漂亮的农村野花,其实还有很多其他野花也是十分美丽的,如一串红、紫叶地丁、蒲公英、麦蒿等,还有哪些你认为是你心目中最美的野花呢?欢迎大家补充!

2、农村野花名称大全,农村常见的50种野花野草

1、蛇莓

农村野花名称大全,农村常见的50种野花野草(农村哪些野花让你觉得很美)

蛇莓,别名:蛇泡草、龙吐珠、三爪风、鼻血果果、珠爪、蛇果、鸡冠果、野草莓、蛇藨、地莓、蚕莓、三点红、狮子尾莓。

蔷薇科 ,多年生草本,全株有柔毛;匍匐茎长。花期6-8月,果期8-10月。多野生于山坡、草地上、路旁、沟边或田埂杂草中;全国各地都有分布。全草供药用,有清热解毒、活血散瘀、收敛止血作用,又能治毒蛇咬伤,敷治疔疮等;并用于杀灭蝇蛆。

农村野花名称大全,农村常见的50种野花野草(农村哪些野花让你觉得很美)

2、马兰头

马兰头,又名马兰、红梗菜、鸡儿肠、田边菊、紫菊、螃蜞头草等,属菊科马兰属多年生草本植物。马兰头原是野生种,生于路边、田野、山坡上,全国大部分地区均有分布。

马兰头有红梗和青梗两种,均可食用,药用以红梗马兰头为佳。由于寒食节与清明节合二为一的关系,一些地方还保留着清明节吃冷食的习惯。在浙江吃马兰头等时鲜蔬菜,是取其"青"字,以合"清明"之"青"。

农村野花名称大全,农村常见的50种野花野草(农村哪些野花让你觉得很美)

农村野花名称大全,农村常见的50种野花野草(农村哪些野花让你觉得很美)

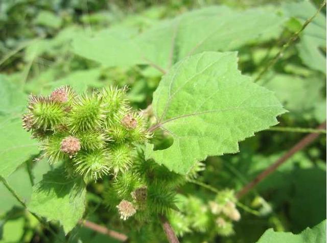
3、苍耳子

农村野花名称大全,农村常见的50种野花野草(农村哪些野花让你觉得很美)

一年生草本,高20-90cm。根纺锤状,分枝或不分枝。茎直立不分枝或少有分枝,下部圆柱形,上部有纵沟,被灰白以糙伏毛。花期7-8月,果期9-10月。

主要分布于安徽、黑龙江、辽宁、内蒙古、山东、江西、湖北、江苏、河北及河南。生于平原、丘陵、低山、荒野、路边、沟旁、田边、草地、村旁等处。

农村野花名称大全,农村常见的50种野花野草(农村哪些野花让你觉得很美)

4、

本文关键词:农村常见的50种野花野草,农村野花名称大全图片羊气懒子,农村野花名称大全图片,农村野花名称大全,农村野花名称大全1。这就是关于《农村野花名称大全,农村常见的50种野花野草(农村哪些野花让你觉得很美)》的所有内容,希望对您能有所帮助!

本文链接:https://bk.89qw.com/a-856972

最近发表
网站分类